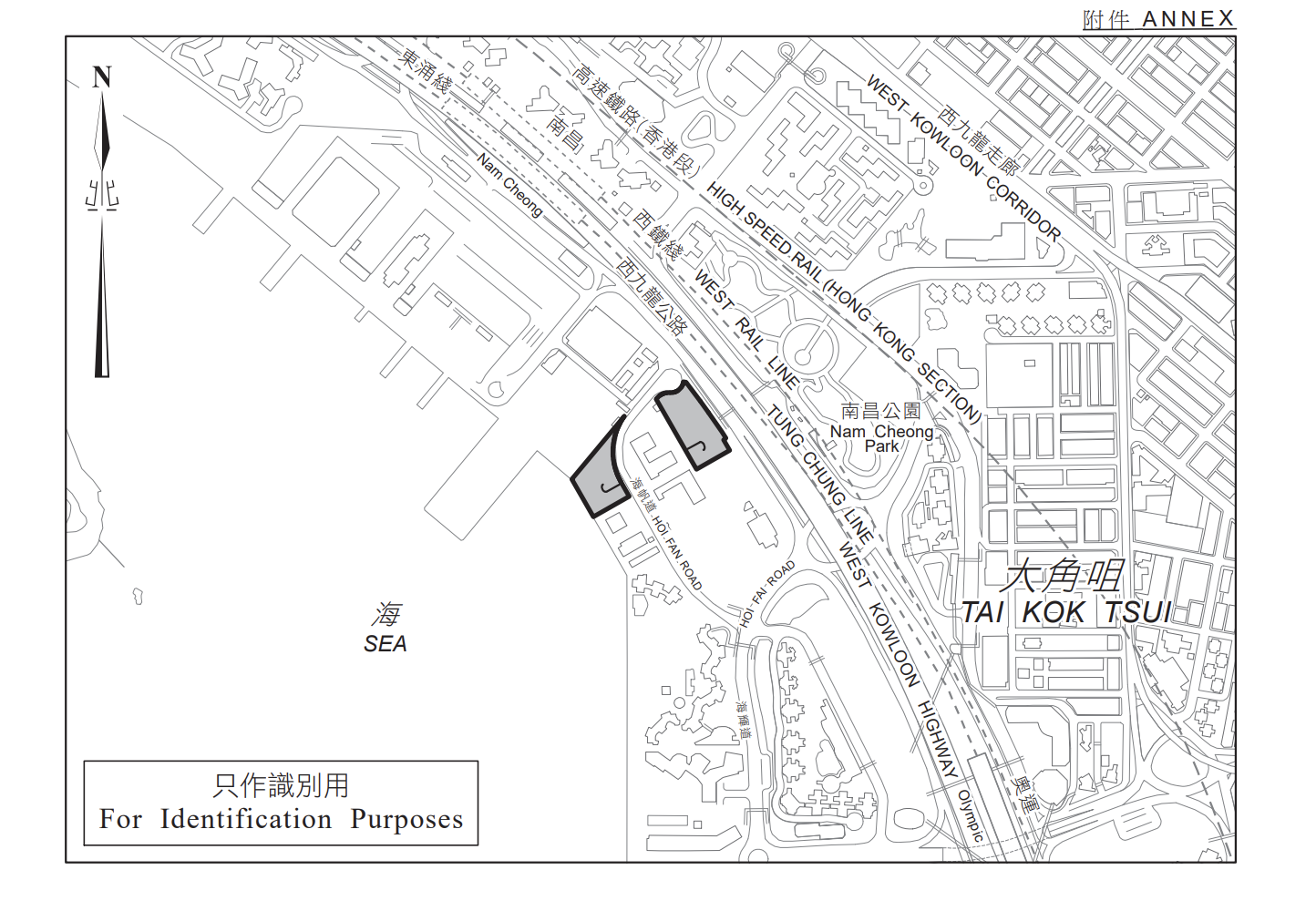
社會新聞編輯推介 大角咀設駐港國家安全公署永久辦公室 April 23, 202101178 政府公布將會把大角咀海帆道一幅由兩部分組成的政府用地,批予駐港國家安全公署,以便設立永久辦公室及附屬設施。用地總面積約11500平方米,位於西南九龍分區計劃大綱圖內劃作「政府、機構或社區」的地帶。 駐港國家安全公署在去年七月根據《香港國安法》第四十八條成立。《香港國安法》第六十一條訂明香港特別行政區政府有關部門須在駐港國家安全公署依《香港國安法》履行職責時,提供必要的便利和配合。駐港國家安全公署將依據《香港國安法》及相關香港適用法規推展是項建築工程並承擔所需費用。 (地圖由政府新聞處提供) Related Related tags : 駐港國家安全公署 水煙愈趨普及須留意健康風險(呂苡姍) Previous Post 春無限意 梅有餘馨(方釗) Next Post